Masz konto na Facebooku? Jeśli chcesz pomóc w rozwoju darmowego serwisu ogłoszeniowego możesz
udostępnić Wystaw.pl oraz obserwować/polubić nasz profil FB - dziękujemy!

Działka budowlana

Cena: 110 000 zł / działkę
do negocjacji

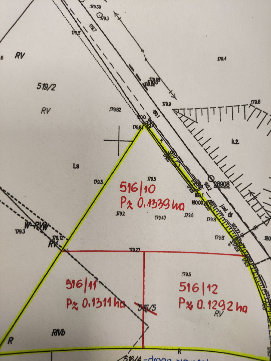
Zapraszam do zapoznania się z ofertą działki o łącznej powierzchni 1015 m², położonej w miejscowości Stawiszcze.

Nieruchomość znajduje się w bliskiej odległości od drogi wojewódzkiej nr 482 (Zd-Wola / Sieradz) oraz zaledwie ok. 0,5 km od zjazdu na trasę S8, co zapewnia doskonałą komunikację z okolicznymi miejscowościami.

Atuty działki:

Działka płaska, równa i niepodmokła

Prąd dostępny na działce

Ujęcie wody w pobliżu

Wydane warunki zabudowy

Szybki dojazd – działka posiada krótką drogę wewnętrzną prowadzącą do drogi utwardzonej

Brak przejazdu kolejowego na trasie dojazdu

W okolicy dostępne chodniki i światłowód

Okolica jest cicha i spokojna, idealna dla osób ceniących naturę – świetne miejsce na spacery i grzybobranie.

To doskonała propozycja dla osób szukających działki pod budowę domu w dobrze skomunikowanej, a zarazem zielonej okolicy.

Nie tego szukasz? Przejrzyj inne oferty z tej kategorii (NieruchomościGrunty i działkiBudowlane). Możesz też zawsze przejść na stronę główną lub skorzystać z wyszukiwarki.

Ostatnie zmiany: 12.11.2025 14:44
Wygasa za 29 dni
Rozpoczęcie: 29.05.2025, 13:20, zakończenie: 25.05.2026, 20:42

Oferta jest już nieaktualna? Być może zawiera nieprawidłowo oznaczoną lokalizację, błędny numer telefonu czy w inny sposób narusza regulamin? Zgłoś nam ten problem - oferta zostanie sprawdzona w pierwszej kolejności!


Karol320

 510 [pokaż]

Lokalizacja

  • Stawiszcze (gmina Sieradz)