Masz konto na Facebooku? Jeśli chcesz pomóc w rozwoju darmowego serwisu ogłoszeniowego możesz
udostępnić Wystaw.pl oraz obserwować/polubić nasz profil FB - dziękujemy!

Sprzedam działkę budowlaną w Dębołęce

Cena: 86 600 zł / działkę budowlaną

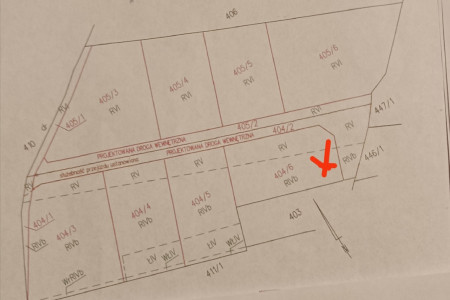
Sprzedam działkę budowlaną z warunkami zabudowy w Dębołęce nr 404/6 o powierzchni 0.1083 ha.Działka znajduje się przy drodze gminnej.Kupujacy nabywa udział w drodze wewnętrznej.Media -woda z sieci wodociągowej. Zapewnienie PGE o przyłączeniu prądu, szambo lub oczyszczalnia przydomowa.Działka w dobrym punkcie,tereny zielone,blisko Sieradza.Zachęcam do obejrzenia i zakupu do sprzedaży również inne działki

Nie tego szukasz? Przejrzyj inne oferty z tej kategorii (NieruchomościGrunty i działkiBudowlane). Możesz też zawsze przejść na stronę główną lub skorzystać z wyszukiwarki.

Ostatnie zmiany: 18.09.2024 19:36
Wygasa za 29 dni
Rozpoczęcie: 01.12.2023, 18:00, zakończenie: 03.04.2026, 16:33

Oferta jest już nieaktualna? Być może zawiera nieprawidłowo oznaczoną lokalizację, błędny numer telefonu czy w inny sposób narusza regulamin? Zgłoś nam ten problem - oferta zostanie sprawdzona w pierwszej kolejności!


Zbych23112

 500 [pokaż]

Lokalizacja

  • Dębołęka (gmina Brzeźnio)